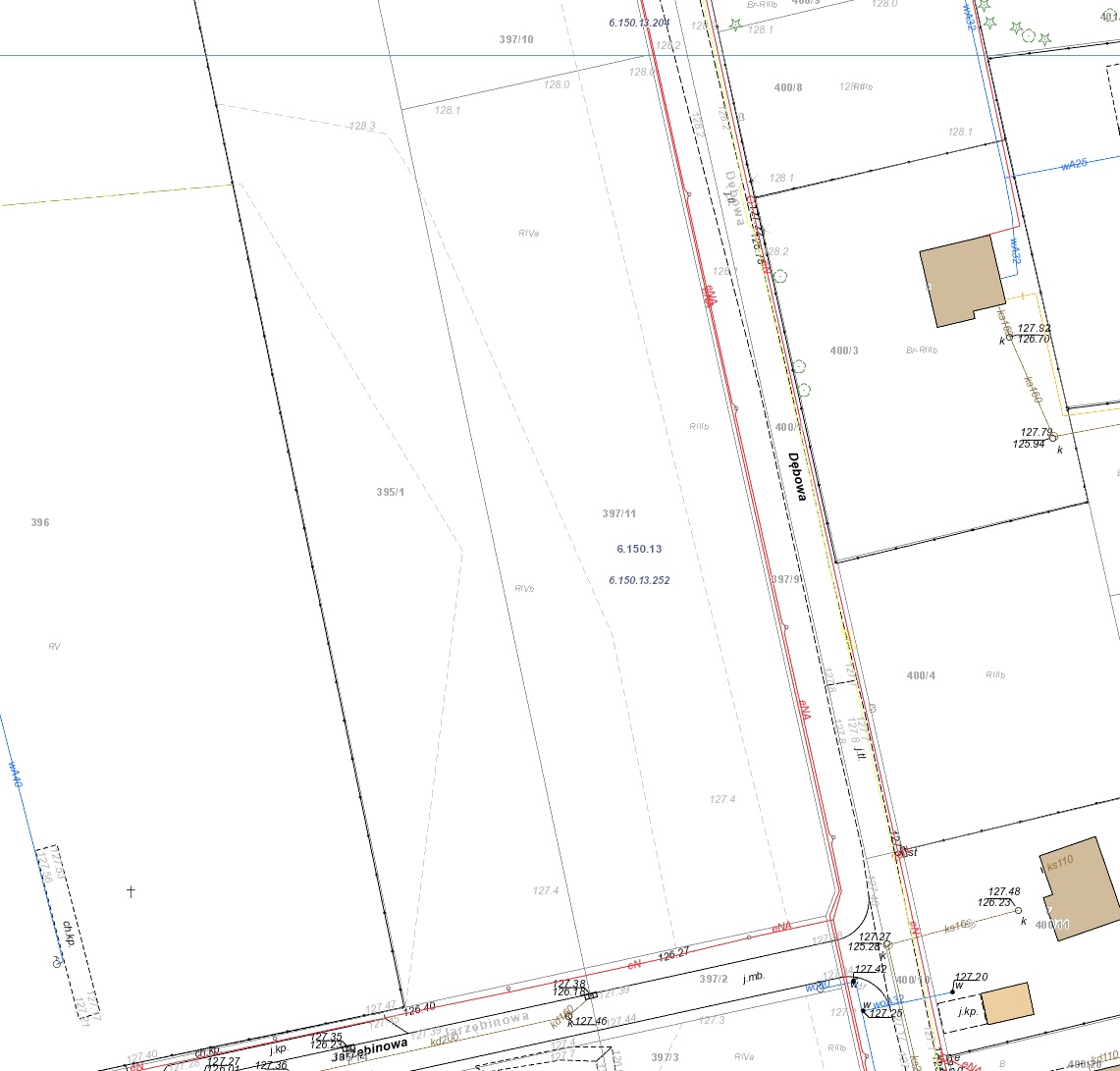
Działka przemysłowa w Długołęce

CENA: 820 000 zł

POWIERZCHNIA: 4 100 m2

Działka przemysłowa w Długołęce.
Działka nr. 397/11 przy ulicy Dębowej.
Prostokąt
Działka znajduje się przy asfaltowej drodze.
Wszystkie media.
Przeznaczenie pod usługi publiczne oraz aktywność nieuciążliwą.
 
Portal ikona

OGŁOSZENIE W PORTALU

Cechy lokalizacji i udogodnienia

 Bliskość AOW

Bliskość AOW

Rynek wtórny

Rynek wtórny

Inne oferty